House and Property sold “as is” condition. Structures need significant work. Listing includes 26+ acres minutes outside of the city. Call for details.
Courtesy of: RE/MAX Tri-Star
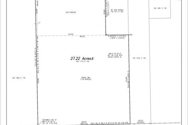
- MLS #570701
- Bedrooms3
- Baths2
- SQFT2553
- ParkingAttached Carport
- Acres27.22





