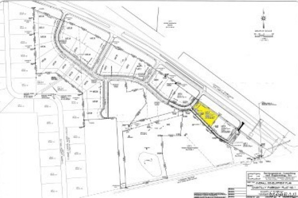
COMMERCIAL SITE ON ROAD FRONTAGE OF CHANTILLY PARKWAY IN PIKE ROAD, AL!
SIGNIFICANT OPPORTUNITY FOR PROPERTY DEVELOPMENT UP TO 4 ACRES ON CHANTILLY PARKWAY! Located in the fastest growing community in the state of Alabama, Pike Road, Al. Excellent visibility with road frontage of 495 ft on Hwy 110 Chantilly Pkwy ;positioned as a major commercial artery with high daily traffic of approximately 42, 000; among top businesses such a Walmart, Home Depot, AMC Classic Chantilly, the new VA center, Max Credit, CB & S Bank, Legacy Media, and various other service business. More are projected to come in 2025.
Potential development includes commercial; mixed use, office, retail or as an individual or investor to build to lease. The best of all worlds, Hwy 110 Chantilly Pkwy offers easy access to I-85 via Mitylene Exit, Montgomery, Vaughn Rd, and Town of Pike Road.
A great site to exceed your imagination in development. Survey available.












