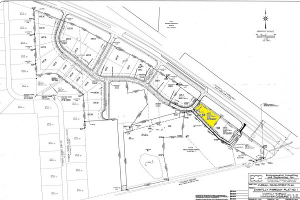
SIGNIFICANT OPPORTUNITY FOR PROPERTY DEVELOPMENT APPROX 13.64 ACRES ON CHANTILLY PARKWAY! Located in the fastest growing community in the state of Alabama, Pike Road, Al. Excellent visibility with road frontage approx. 1188 ft. on Hwy 110 Chantilly Pkwy; positioned as a major commercial artery with high daily traffic of approximately 42, 000; among top businesses such a Walmart, Home Depot, AMC Classic Chantilly, the new VA center, Max Credit, CB & S Bank, Legacy Media, and various other service businesses. More are projected to come in 2025. Potential development includes commercial; mixed use, office or retail. The best of all worlds, Hwy 110 Chantilly Pkwy offers easy access to I-85 via Mitylene Exit, Montgomery, Vaughn Rd, and Town of Pike Road. A great site to exceed your imagination in development. Will subdivide.
Courtesy of: ARC Realty
- MLS #548150










