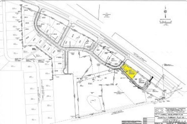
Located in the fastest growing community in the state of Alabama, Pike Road, Al. Lot offers excellent visibility as it is on
Hwy 110 Chantilly Pkwy positioned as a major commercial artery with high daily traffic of approximately 42,000; amongst top businesses such as Walmart, Home Depot, AMC Classic Chantilly, the new VA Hospital, and various other service businesses. More are projected to come in 2025. Lot 3 is approximately 1.125 acres suitable for office, clinics, restaurant, or various commercial businesses. There is excellent easy access to I-85 via Mitylene Exit, Montgomery, Vaughn Rd, and Town of Pike Road. Improved price. Owner financing!
Courtesy of: ARC Realty
- MLS #539351
- Lot Dimensions63x85x280x196x313









