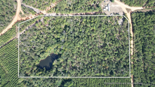
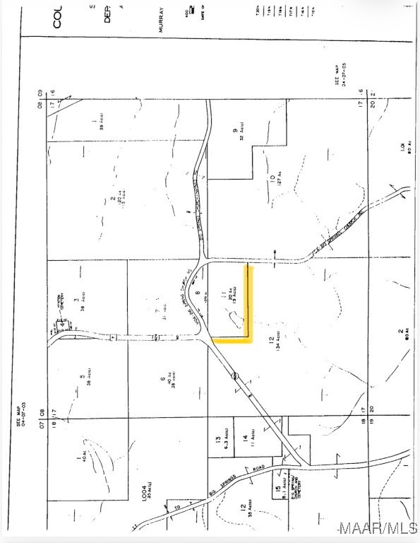
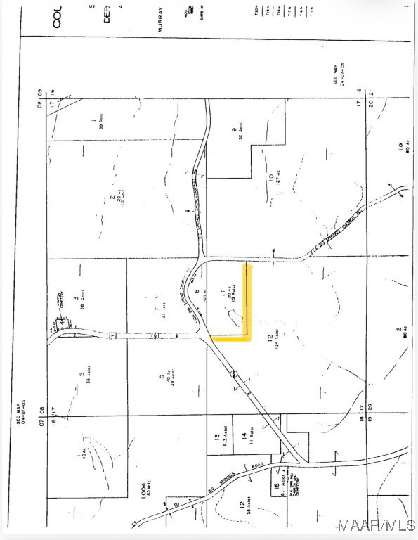
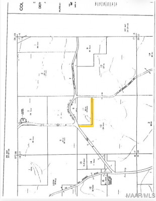
Come see what 19 acres of true country living looks like. This unrestricted parcel in Autauga County offers privacy, peace, and endless opportunity. The property already has 2 water meters , and 2 septic systems in place, making it easier to start building or setting up your dream getaway. A beautiful spring-fed pond that goes all the way back to Swift Creek sits on the land, giving you the perfect spot for fishing, wildlife watching, or just a quiet escape.
While the property could use some clearing of trees to open it up, that just means you get to shape it exactly how you want — whether that’s creating pasture, carving out a homesite, or leaving plenty of woods for shade and hunting. With no restrictions, you’re free to bring in a manufactured home, build a farmhouse, start a homestead, or just enjoy it as a weekend retreat.
All of this privacy is tucked away down a quiet dirt road, yet you’re still less than an hour from Montgomery and just minutes from Prattville. Land with this mix of location, utilities, and natural beauty doesn’t last long — come make it yours.



















