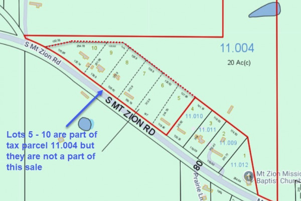
14 acres +/- of undeveloped land that is mostly natural regeneration growth. Based on maps, there is a small pond in the northeast corner of the property. Call today for more information.
Courtesy of: First Realty of Greenville
- MLS #577220
- Lot Dimensionsirregular - not known
- Acres14.00





